WAŻNE
TERAZ

Mocne słowa Zełenskiego w Davos. "Nic się nie zmieniło"

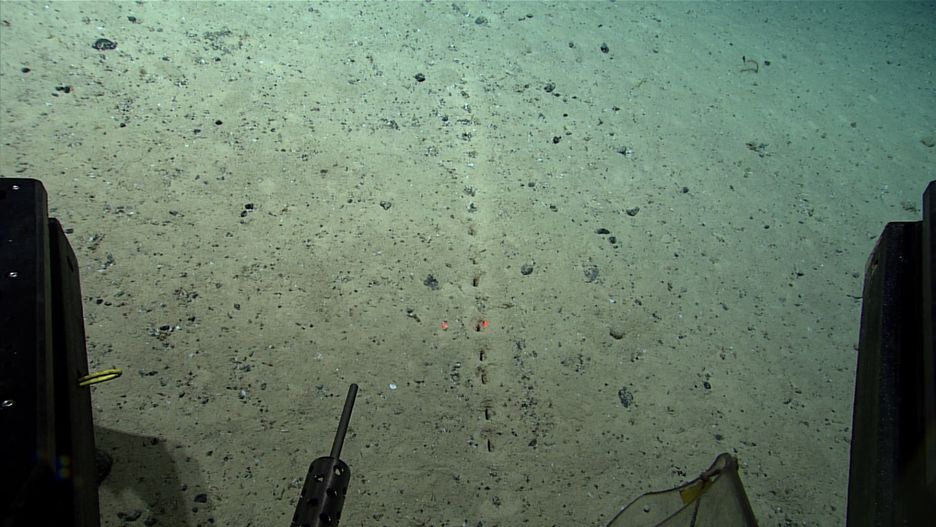
Tajemnicze dziury na dnie oceanu. Wyglądają na "stworzone przez człowieka"

Naukowcy z NOAA odkryli szereg tajemniczych i pozornie "stworzonych przez człowieka" dziur 2540 m pod powierzchnią Oceanu Atlantyckiego. Dziwne wgłębienia wprawiły ich w takie osłupienie, że zwrócili się do internautów po pomoc w ustaleniu ich pochodzenia.

Tajemnicze dziury na dnie oceanu. Wyglądają na "stworzone przez człowieka" 1
Źródło zdjęć: © © NOAA
Konrad Siwik

Tajemnicze dziury zostały odkryte i sfotografowane przez zdalnie sterowany pojazd podwodny w ramach zorganizowanej przez National Oceanic and Atmospheric Administration (NOAA) drugiej wyprawy Voyage to the Ridge 2022. Naukowcy podczas ekspedycji badali i mapowali Grzbiet Śródatlantycki, ogromne podwodne pasmo górskie, na północ od archipelagu Azorów.

Podczas nurkowania naukowcy NOAA sondowali dno oceanu na głębokości około 2540 m, odwiedzając szczyt podwodnego wulkanu na północ od Azorów – autonomicznego regionu Portugalii na środkowym Atlantyku. Użyli zdalnie sterowanej kamery, aby zarejestrować starannie ułożone w linii prostej otwory w dnie morskim. Naukowcy próbowali zajrzeć do środka otworów przy pomocy narzędzi zainstalowanych na zdalnie sterowanym pojeździe. Ich próby spełzły jednak na niczym.

Badacze z NOAA byli tak zaskoczeni odkryciem, że zaprosili członków społeczności do przedstawienia swoich teorii na temat pochodzenia tajemniczych dziur. "Podczas sobotniego nurkowania na Okeanos zobaczyliśmy kilka sublinearnych zestawów otworów w dnie morskim. Pochodzenie tych dziur wprawiło naukowców w osłupienie. Dziury wyglądają na wykonane przez człowieka, ale małe stosy osadów wokół nich sugerują, że zostały przez coś wykopane" – podaje NOAA Ocean Exploration na Twitterze, pytając jednocześnie o hipotezy członków społeczności.

NOAA otrzymała różne odpowiedzi od użytkowników mediów społecznościowych, od kosmitów, przez nieznany gatunek kraba, po gaz wydobywający się spod dna morskiego. Najbardziej trafną hipotezą według naukowców jest jednak ta, że dziury mają "biologiczne pochodzenie". "Chociaż naukowcy nie są pewni, jak powstają dziury, wysuwają hipotezę, że są one prawdopodobnie pochodzenia biologicznego, używając terminu »lebensspuren«, który tłumaczy się jako »ślady życia«, aby opisać dziury" – pisze NOAA.

Konrad Siwik, dziennikarz Fotoblogii

Źródło artykułu: WP Fotoblogia
Wybrane dla Ciebie
Gang fok przegania rekina. U wybrzeży Afryki foki dały popis współpracy
Gang fok przegania rekina. U wybrzeży Afryki foki dały popis współpracy
Nie uwierzysz na co patrzysz. Polacy w ścisłej czołówce takich zdjęć
Nie uwierzysz na co patrzysz. Polacy w ścisłej czołówce takich zdjęć
Niesamowity kadr przedstawiający pradawny gatunek skorupiaka wygrał prestiżowy konkurs
Niesamowity kadr przedstawiający pradawny gatunek skorupiaka wygrał prestiżowy konkurs
Ekstremalnie rzadki aparat został sprzedany za 3,5 mln euro. Wyprodukowano go 100 lat temu
Ekstremalnie rzadki aparat został sprzedany za 3,5 mln euro. Wyprodukowano go 100 lat temu
Kary za zdjęcia dzieci. Konsekwencje dla rodziców we Francji
Kary za zdjęcia dzieci. Konsekwencje dla rodziców we Francji
Rekin gonił cień drona. Zachowywał się, jak kot goniący zajączka
Rekin gonił cień drona. Zachowywał się, jak kot goniący zajączka
Brutalny atak jelenia na zdjęciu. Fotograf przestrzega turystów
Brutalny atak jelenia na zdjęciu. Fotograf przestrzega turystów
Widziałeś film z Hanksem? Aktor ostrzega przed oszustwem
Widziałeś film z Hanksem? Aktor ostrzega przed oszustwem
Perseidy, Droga Mleczna i świecące glony naraz. Oto zdjęcie jedno na milion
Perseidy, Droga Mleczna i świecące glony naraz. Oto zdjęcie jedno na milion
Meta wykorzystała publiczne zdjęcia z Facebooka i Instagrama do trenowania AI
Meta wykorzystała publiczne zdjęcia z Facebooka i Instagrama do trenowania AI
Prawdziwy skarb fotograficzny. Te zabytkowe aparaty nie zrobiły ani jednego zdjęcia
Prawdziwy skarb fotograficzny. Te zabytkowe aparaty nie zrobiły ani jednego zdjęcia
Tragedia podczas wycieczki. Kobieta spadła z urwiska robiąc selfie
Tragedia podczas wycieczki. Kobieta spadła z urwiska robiąc selfie
ZATRZYMAJ SIĘ NA CHWILĘ… TE ARTYKUŁY WARTO PRZECZYTAĆ 👀